Oppstart planarbeid Aksdalsvegen 148

På vegne av Askeland Eiendomsutvikling AS varsles det i samsvar med PBL § 12-8 om igangsetting av arbeid med privat detaljreguleringsplan for Aksdalsvegen 148 planID 202602.

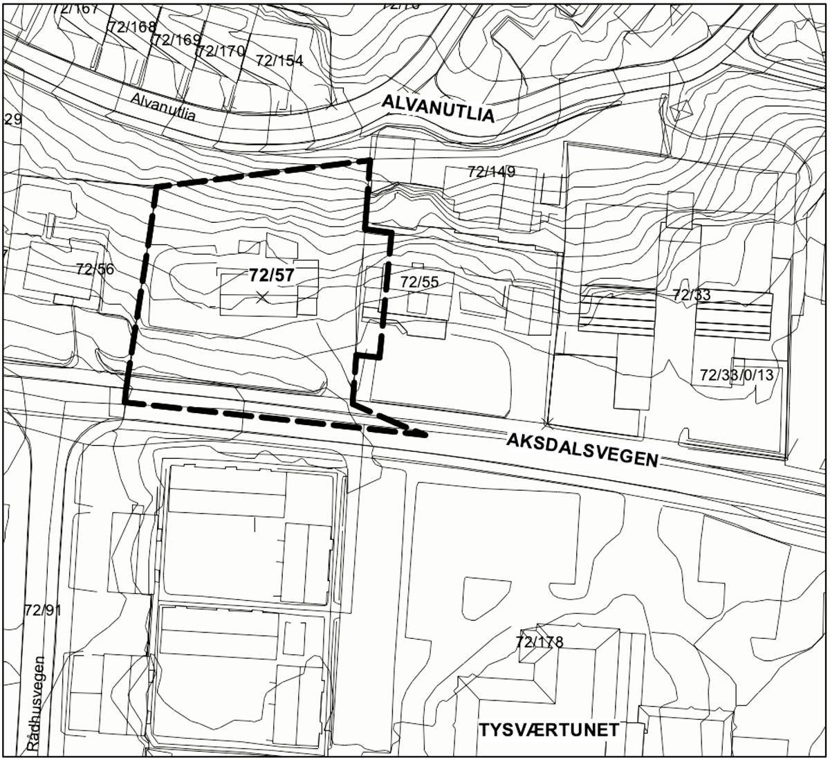
Varselet gjelder for et avgrenset areal på ca. 2,1 daa i Aksdal sentrum, nordvest for Tysværtunet i Tysvær kommune, jf. Figur 1. Arealet omfatter eiendommen gnr. 72 bnr. 57 mfl.

Figur 1: Planens avgrensning. Kilde: Arkipelet AS - Klikk for stort bildeFigur 1: Planens avgrensning. Kilde: Arkipelet AS KIlde: Arkipelet AS

Det skal legges til rette for riving av eksisterende enebolig for å kunne etablere 2 lavblokker i 5 etasjer med felles; uteopphold inkl. nærlek, 6 parkeringsplasser og renovasjon ved adkomsten. Det legges til rette for felles; heis, oppholdsrom, 10 parkeringsplasser, sykkelparkering og bodanlegg i 1. etasje. Det planlegges for totalt 16 stk. leiligheter med variert størrelse. Man tar også med en del av Aksdalsvegen 150 for å justere juridisk linje i byggeområdets sørvestre hjørne.

Planarbeidet er i tråd med formålet i områdeplanen for Aksdal. Planområdet er en del av felt BBB3, lavblokkbebyggelse i 4-5 etasjer. Det er av Tysvær kommune vurdert til ikke å ha vesentlig virkning for miljø og samfunn, jfr. Pbl §§ 4-1 og 4-2. Det utarbeides dermed ikke planprogram med påfølgende konsekvensutredning.

Oppstart av forhandling om utbyggingsavtale:
Det varsles om at det settes i gang forhandlinger om utbyggingsavtale for det aktuelle området, jfr. Pbl § 17-4. Avtalen skal inngås mellom Tysvær kommune og utbygger Askeland Eiendomsutvikling AS, og skal regulere forholdet omkring utbyggers deltakelse i utbygging av offentlige anlegg i området.

Innspill eller spørsmål til oppstart av planarbeidet skal sendes innen 06.05.2026 til:

ARKIPELET AS
Pb 29
5501 HAUGESUND
E-post: mona@arkipelet.no

Ytterligere opplysninger kan fås ved henvendelse til:
Mona Fågelklo
Mob. 41367096
E-post: mona@arkipelet.no

Vedlegg:

Kart som viser planens avgrensning (PDF, 149 kB)

Planinitiativ - referat fra oppstartsmøte (PDF, 599 kB)

Vedlegg 1 - planinitiativ (PDF, 5 MB)

Vedlegg 2 - planinitiativ (PDF, 9 MB)

Vedlegg 3 - planinitiativ (PDF, 115 kB)